3
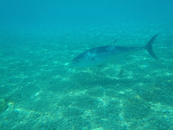
Beach Park Falezler altında çekilen görüntüleri inceleyen Konyaaltı Sualtı Sporları Kulübü Yönetim Kurulu Başkanı Mehmet Cumhur Tuğ, balığın orkinos olduğunu belirlemişti. 6 metre derinlikte ve Akdeniz’de sık görülmeyen orkinosun, üretim sırasında sistemden kaçtığı, ya da fırtınayla yönünü şaşırmış olabileceği üzerinde duruluyordu.