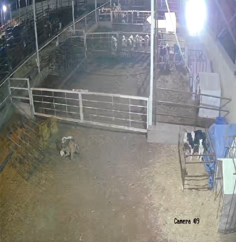
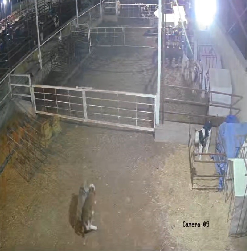
Kayseri’de aç kurdun büyükbaş hayvan çiftliğini basarak danaya saldırdığı anlar güvenlik kamerasına yansıdı.
Edinilen bilgiye göre, Melikgazi ilçesine bağlı Yeşilyurt Mahallesi’nde bulunan büyükbaş hayvan çiftliğinde geçtiğimiz 7 Ocak’ta meydana gelen olayda aç kalan bir kurt çiftliği bastı. Büyükbaş hayvanların bulunduğu alandaki danayı gözüne kestiren kurt, saldırdı. Saldırıya uğrayan dana uzun süre kurtulmak için çaba gösterse de telef olduğu öğrenildi.
Yaşanan olaylar çiftliğin güvenlik kamerasına yansıdı.









